简体版| 繁体版
支持IPv6
无障碍
当前位置:首页 > 城市规划 > 项目规划公示
发文单位:贺州市自然资源局成文日期:2026年01月30日
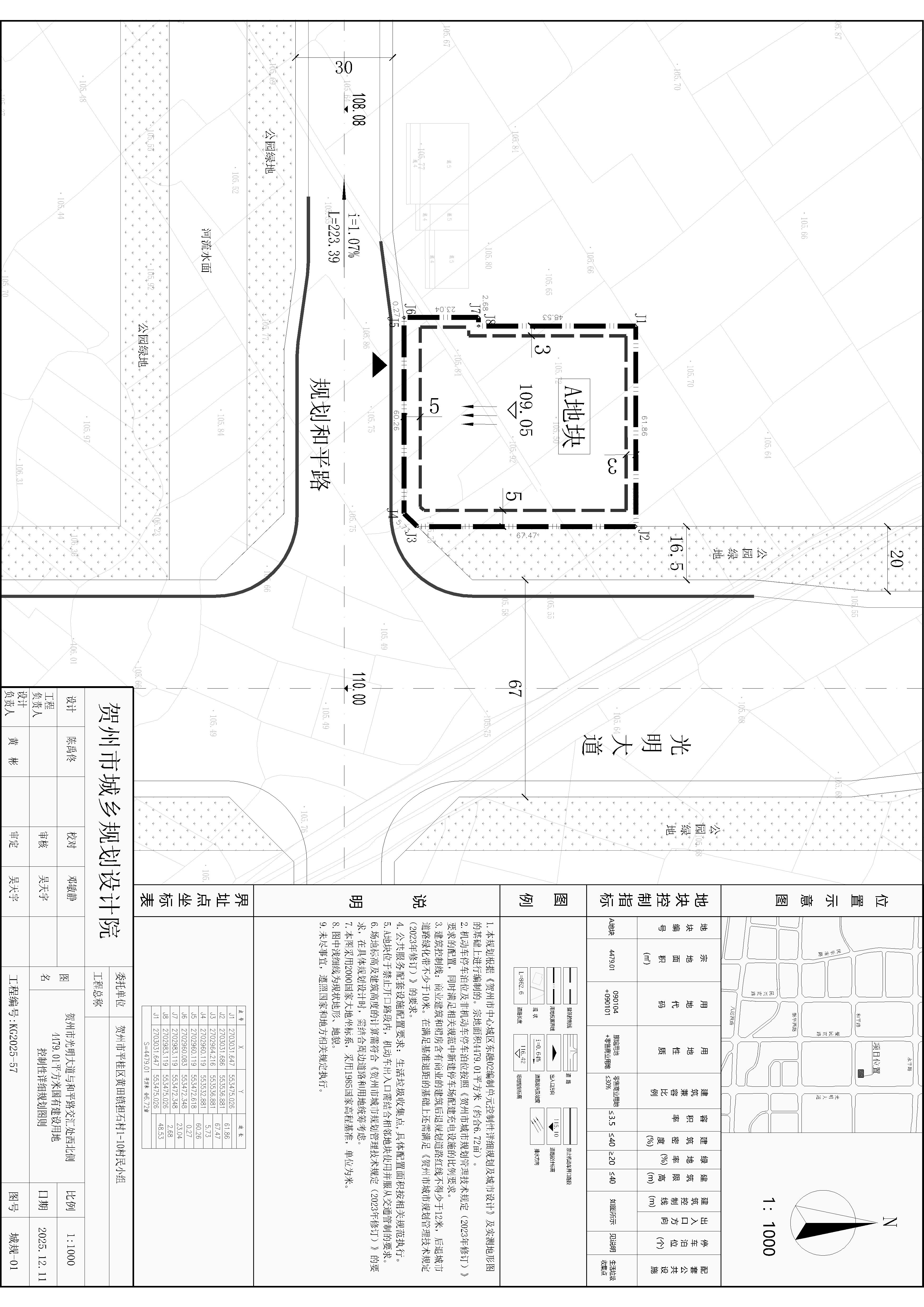
标  题:贺州市光明大道与和平路交汇处西北侧4479.01平方米国有建设用地控制性详细规划图则批前公示
发文字号:贺自然公示〔2026〕20号发布日期:2026年01月30日

贺州市光明大道与和平路交汇处西北侧4479.01平方米国有建设用地控制性详细规划图则批前公示

2026-01-30 10:05     来源:贺州市自然资源局
收藏 我要收藏 公共资源调用站点 文章分享
分享 微信
头条
微博 空间 qq
【字体: 打印

贺州市平桂区黄田镇担石村1-10村民小组计划在位于贺州市光明大道与和平路交汇处西北侧4479.01平方米的产业发展用地建设一栋酒店及一栋商业楼。根据项目建设情况,拟对该产业发展用地的用地性质、控制指标进行明确:即用地性质明确为旅馆用地+零售商业用地,零售商业建筑比例不高于30%,指标明确为容积率不高于3.5,建筑密度不高于40%,绿地率不低于20%,建筑限高40米。经核,图则的用地性质及各项指标符合城市发展及相关规范要求,并贺州市自然资源工作领导小组2026年第1次会议审议通过。现根据住建部《关于城乡规划公开公示的规定》(建规〔2013〕166号),将该地块控制性详细规划图则进行批前公示(征求意见公示期:2026年1月30日至2026年2月28日,征求意见公示地址:贺州市自然资源局网站http://hz.dnr.gxzf.gov.cn/、贺州日报、光明大道与和平路交汇处西北侧)。如相关利害人对该地块控制性详细规划图则有异议和建议,请于征求意见公示期内将书面意见(署真实姓名和联系地址、通讯方式)送达或发邮件到贺州市自然资源局城市建设科(地址:贺州市贺州大道403号,联系电话:07774—5685433,电子邮箱:hzcsjsk@gxj.gxhz.gov.cn),以便更好地维护广大群众的公共利益及相关利害人的合法权益。

附件:贺州市光明大道与和平路交汇处西北侧4479.01平方米

      国有建设用地控制性详细规划图则

贺州市自然资源局

2026年1月30日


关联文件: