简体版| 繁体版
支持IPv6
无障碍
当前位置:首页 > 城市规划 > 项目规划公示
发文单位:贺州市自然资源局成文日期:2026年01月23日
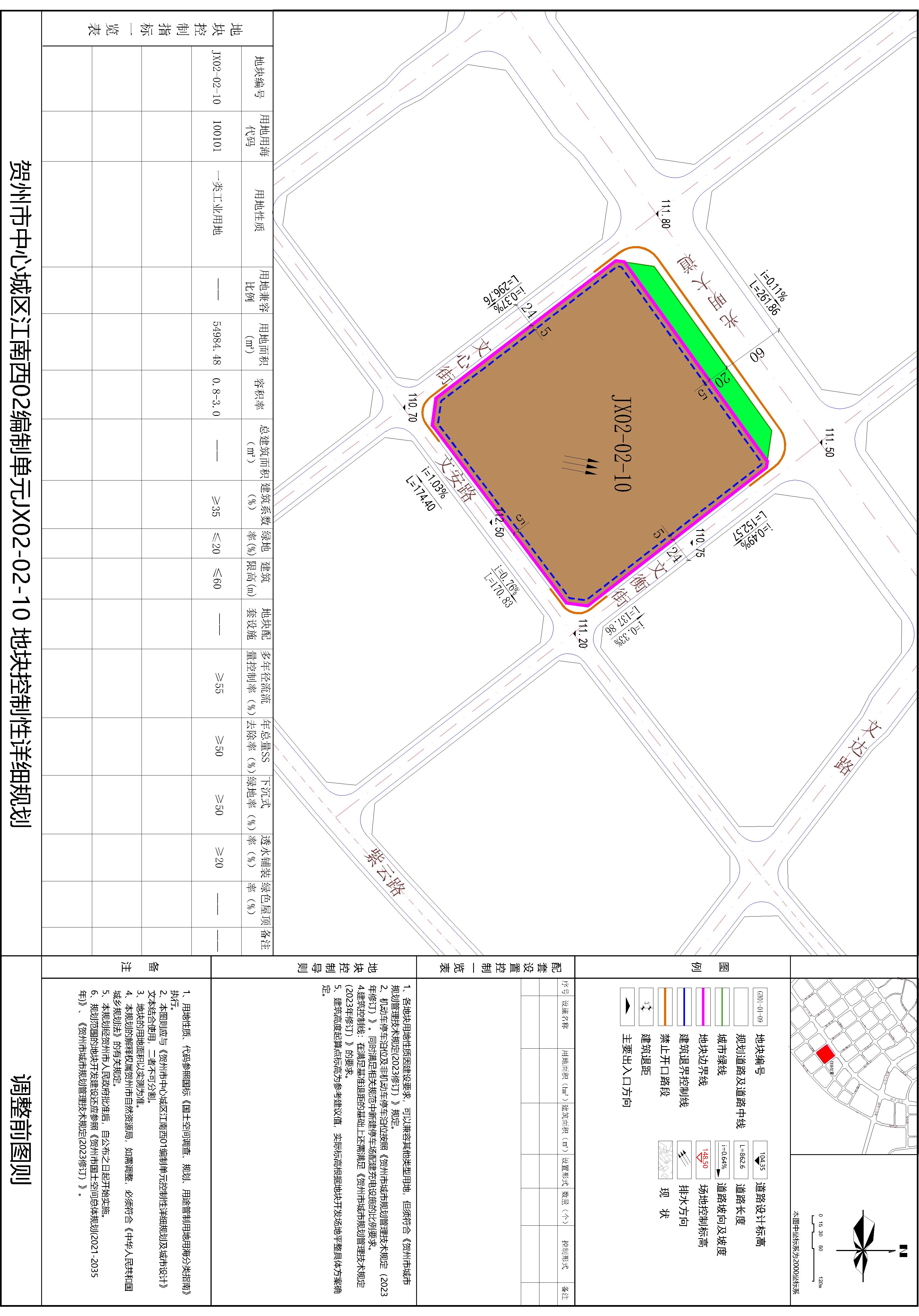
标  题:贺州市中心城区江南西01编制单元JX01-02-35、JX01-02-36地块及江南西02编制单元JX02-02-10地块控制性详细规划调整图则批前公示
发文字号:贺自然公示〔2026〕13号发布日期:2026年01月23日

贺州市中心城区江南西01编制单元JX01-02-35、JX01-02-36地块及江南西02编制单元JX02-02-10地块控制性详细规划调整图则批前公示

2026-01-23 10:10     来源:贺州市自然资源局
收藏 我要收藏 公共资源调用站点 文章分享
分享 微信
头条
微博 空间 qq
【字体: 打印

《贺州市中心城区江南西01编制单元JX01-02-35、JX01-02-36地块及江南西02编制单元JX02-02-10地块控制性详细规划调整图则》经贺州市自然资源工作领导小组2026年第1次会议审议通过,现根据《中华人民共和国城乡规划法》《广西实施〈中华人民共和国城乡规划法〉办法》《自治区住房城乡建设厅转发住房城乡建设部关于印发〈关于城乡规划公开公示的规定〉的通知》规定,将该调整图则予以批前公示。

一、项目地址

位于贺州市光明大道与文达路交汇处西北侧及西南侧。

二、主要公示内容

根据《贺州市中心城区江南西01编制单元控制性详细规划》《贺州市中心城区江南西02编制单元控制性详细规划》,调整前:

JX01-02-35地块用地面积约7.8亩,用地性质为公园绿地,绿地率不低于70%。

JX01-02-36地块用地面积约33.2亩,用地性质为二类城镇住宅用地+商业用地,商业建筑比例不高于10%,容积率不高于2.8,建筑密度不高于28%,绿地率不低于30%,建筑限高80米。

JX02-02-10地块面积约82.5亩,用地性质为一类工业用地,容积率不高于3.0不低于0.8,建筑系数不低于35%,绿地率不高于20%,建筑限高60米。

调整内容:一是将JX01-02-36地块中的22.6亩用地的用地性质调整为一类物流仓储用地,规划指标按照《广西壮族自治区物流项目建设用地控制性指标》明确指标;同时根据周边用地的土地权属和征拆情况对JX01-02-36地块周边地块边界范围和用地性质进行优化明确;二是根据开发边界范围将JX02-02-10地块的范围进行调整(调整后用地面积25.2亩),并将地块用地性质由一类工业用地调整为二类城镇住宅用地+商业用地,商业建筑兼容比例不高于10%,容积率不高于2.0,建筑密度不高于32%,绿地率不低于30%,建筑限高36米。

三、公示地点

(一)贺州日报。

(二)贺州市自然资源局网站http://hz.dnr.gxzf.gov.cn/

(三)贺州市光明大道与文达路交汇处西北侧及西南侧。

该控规调整内容涉及周边相关利害人的合法权益,按程序现向社会公示,如社会各界人士及相关利害人对该控规内容有异议和建议,请于公示期(共30天,2026年1月23日至2026年2月21日)内将书面意见(署真实姓名和联系地址、通讯方式、利害关系证明等材料)送达或发邮件到贺州市自然资源局城市建设科(地址:贺州市贺州大道403号,电话:5685433,邮箱:hzcsjsk@gxj.gxhz.gov.cn)。

附件:1.区位图

       2.调整前图则

       3.调整后图则

贺州市自然资源局

2026年1月23日


关联文件: